ウインレーシングクラブ
ホーム プライバシーポリシー サイトマップ
よくある質問はこちらから お問い合わせはこちらから
ウインについて 会員募集 募集馬情報 出資申込み 出走情報 所属馬情報 MOREウイン
ホーム > 募集馬情報一覧 ( 募集馬情報 )
募集馬情報一覧
馬名をクリックすると、詳細が閲覧できます。
「 お気に入りに登録 」 すると、登録した馬の情報のみ表示できます。
※ 愛馬登録とは異なります。気になる募集馬の最新情報を一覧でご覧になりたい場合にご利用ください。
21-33 件表示 / 33 件中
2
 2026年1月16日更新
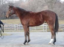
No.23  サダムグランジュテの24
79
■ 父 : ウインブライト
■ 母の父 : キングカメハメハ
■ 牝  ■ 芦毛  ■ 5/8 生まれ
■ 一口価格 : 5.5万円
■ 入厩予定 : 美浦・矢嶋大樹
■ 馬体重:463kg     ( 2026.1.16 )
■ 馬体高:153.0cm ( 2026.1.16 )
最新の近況 ( 2026.1.16 更新 )
北海道・新冠のコスモヴューファームにて調整中。坂路でダク、キャンターを1本、もしくは屋内トラックコースでダク、キャンターを消化しています。
担当者は「先週からは坂路を中心としたメニューで乗り込みを進めており、昨年末には坂路で追い切りも行いました。追い切りでは他馬に遅れをとり、動ききれませんでしたが、まだ前進気勢が不足していることも影響した印象です。自分からハミを取って体を使えるようになれば変わってきそうな感触がありますし、2本目以降の変化に期待したいと思います」と話していました。
馬体重463kg 体高153cm(1/16現在)
 2026年1月16日更新
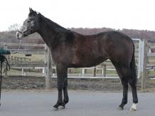
No.24  サマーラグーンの24
■ 父 : ウインブライト
■ 母の父 : ボストンハーバー
■ 牝  ■ 芦毛  ■ 2/5 生まれ
■ 一口価格 : 4万円
■ 入厩予定 : 美浦・和田正一郎
■ 馬体重:426kg     ( 2026.1.16 )
■ 馬体高:154.0cm ( 2026.1.16 )
最新の近況 ( 2026.1.16 更新 )
北海道・新冠のコスモヴューファームにて調整中。坂路でダク、キャンターを1本、もしくは屋内トラックコースでダク、キャンターを消化しています。
担当者は「先週からは坂路を中心としたメニューで乗り込みを進めており、昨年末には坂路で追い切りも行いました。小柄で細身の体つきですが、走りに対して前向きな性格で、追い切りでは最先着とこちらの想像以上の動きを見せてくれました。神経質な面もそれほど気にならず、素軽い動きでスピードも兼ね備えていますし、楽しみが出てきました」と話していました。
馬体重426kg 体高154cm(1/16現在)
 2026年1月16日更新
No.25  フライングレディの24
満口
■ 父 : ラブリーデイ
■ 母の父 : ディープインパクト
■ 牝  ■ 青鹿毛  ■ 3/15 生まれ
■ 一口価格 : 4.25万円
■ 入厩予定 : 美浦・深山雅史
■ 馬体重:411kg     ( 2026.1.16 )
■ 馬体高:150.0cm ( 2026.1.16 )
最新の近況 ( 2026.1.16 更新 )
北海道・新冠のコスモヴューファームにて調整中。坂路でダク、キャンターを1本、もしくは屋内トラックコースでダク、キャンターを消化しています。
担当者は「先週からは坂路を中心としたメニューで乗り込みを進めており、昨年末には坂路で追い切りも行いました。小柄なサイズ感の割に幅があり、パワーも秘めており、追い切りでは水準級の動きができていました。走りに対しての前向きさもありますし、多少カリカリとうるさい面はありますがこれぐらいであれば許容範囲内です」と話していました。
馬体重411kg 体高150cm(1/16現在)
 2026年1月16日更新
No.26  フラニーフロイドの24
108
■ 父 : ルヴァンスレーヴ
■ 母の父 : フロイド
■ 牝  ■ 鹿毛  ■ 5/11 生まれ
■ 一口価格 : 4万円
■ 入厩予定 : 栗東・宮本博
■ 馬体重:452kg     ( 2026.1.16 )
■ 馬体高:155.0cm ( 2026.1.16 )
最新の近況 ( 2026.1.16 更新 )
北海道・新冠のコスモヴューファームにて調整中。坂路でダク、キャンターを1本、もしくは屋内トラックコースでダク、キャンターを消化しています。
担当者は「先週からは坂路を中心としたメニューで乗り込みを進めており、昨年末には坂路で追い切りも行いました。パワーがあり坂路で動くタイプと見ていましたが、追い切りでは最先着とこちらの期待通りの動きを見せてくれました。勝ち気な気性ですが引っかかることはなく、適度な前向きさがありますし、多少の硬さはあるものの楽しみがありそうな馬です」と話していました。
馬体重452kg 体高155cm(1/16現在)
 2026年1月16日更新
No.27  グラナートロートの24
■ 父 : ロジャーバローズ
■ 母の父 : スクリーンヒーロー
■ 牡  ■ 栗毛  ■ 3/2 生まれ
■ 一口価格 : 3.75万円
■ 入厩予定 : 美浦・堀内岳志
■ 馬体重:478kg     ( 2026.1.16 )
■ 馬体高:156.0cm ( 2026.1.16 )
最新の近況 ( 2026.1.16 更新 )
北海道・新冠のコスモヴューファームにて調整中。屋内トラックコースでダク、キャンター、もしくは坂路でダク、キャンターを1本というメニューを消化しています。
担当者は「先週からは屋内トラックコースを中心としたメニューで乗り込みを進めており、昨年末には坂路で追い切りも行いました。屋内トラックコースでも騎乗者の隙を狙うなどやんちゃな仕草を見せていますが、与えられたメニューは順調にこなせています。追い切りでも水準程度には動けていましたし、今後の成長に期待したいと思います」と話していました。
馬体重478kg 体高156cm(1/16現在)
 2026年1月16日更新
No.28  コスモメリーの24
満口
■ 父 : ビッグアーサー
■ 母の父 : アドマイヤジャパン
■ 牡  ■ 鹿毛  ■ 5/29 生まれ
■ 一口価格 : 5.5万円
■ 入厩予定 : 栗東・宮徹
■ 馬体重:460kg     ( 2026.1.16 )
■ 馬体高:155.0cm ( 2026.1.16 )
最新の近況 ( 2026.1.16 更新 )
北海道・新冠のコスモヴューファームにて調整中。屋内トラックコースでダク、キャンター、もしくは坂路でダク、キャンターを1本というメニューを消化しています。
担当者は「先週からは屋内トラックコースを中心としたメニューで乗り込みを進めており、本日には坂路で追い切りも行いました。追い切った組の中では最先着と水準以上の動きができていましたし、気性的な若さも徐々に改善傾向にあります。馬っぷりも良く、本数を重ねながらさらに力を付けてほしいところです」と話していました。
馬体重460kg 体高155cm(1/16現在)
 2026年1月16日更新
No.29  タッカーメイヴィスの24
■ 父 : ゴールドドリーム
■ 母の父 : ルーラーシップ
■ 牡  ■ 栗毛  ■ 4/17 生まれ
■ 一口価格 : 4万円
■ 入厩予定 : 美浦・金成貴史
■ 馬体重:467kg     ( 2026.1.16 )
■ 馬体高:157.0cm ( 2026.1.16 )
最新の近況 ( 2026.1.16 更新 )
北海道・新冠のコスモヴューファームにて調整中。屋内トラックコースでダク、キャンター、もしくは坂路でダク、キャンターを1本というメニューを消化しています。
担当者は「この中間は狼歯(ろうし:退化した余分な歯)を抜歯し、先週からは屋内トラックコースを中心としたメニューで乗り込みを進めています。また、昨年末には坂路で追い切りも行いました。時折、首を伸ばすなど若さを見せることはありますが、追い切りの動きはまずまずといったところでした。今後は屋内トラックコースで馬とのコンタクトをとっていきたいと思います」と話していました。
馬体重467kg 体高157cm(1/16現在)
 2026年1月16日更新
No.30  ベルシエロの24
■ 父 : ビッグアーサー
■ 母の父 : ダイワメジャー
■ 牡  ■ 栗毛  ■ 5/18 生まれ
■ 一口価格 : 3.5万円
■ 入厩予定 : 栗東・吉田直弘
■ 馬体重:433kg     ( 2026.1.16 )
■ 馬体高:152.0cm ( 2026.1.16 )
最新の近況 ( 2026.1.16 更新 )
北海道・新冠のコスモヴューファームにて調整中。屋内トラックコースでダク、キャンター、もしくは坂路でダク、キャンターを1本というメニューを消化しています。
担当者は「先週からは屋内トラックコースを中心としたメニューで乗り込みを進めており、昨日には坂路で追い切りも行いました。先頭で走ることをためらったり、騎乗者に対して反抗したりする仕草を見せることがありますが、柔らかみのある乗り味で、追い切りではまずまずの動きができていました。今後もうまく馬とのコンタクトを取りながら進めていきたいと思います」と話していました。
馬体重433kg 体高152cm(1/16現在)
 2026年1月16日更新
No.31  マダムアグライアの24
■ 父 : ウインブライト
■ 母の父 : ケイムホーム
■ 牡  ■ 黒鹿毛  ■ 3/7 生まれ
■ 一口価格 : 3万円
■ 入厩予定 : 栗東・緒方努
■ 馬体重:440kg     ( 2026.1.16 )
■ 馬体高:152.0cm ( 2026.1.16 )
最新の近況 ( 2026.1.16 更新 )
北海道・新冠のコスモヴューファームにて調整中。屋内トラックコースでダク、キャンター、もしくは坂路でダク、キャンターを1本というメニューを消化しています。
担当者は「先週からは屋内トラックコースを中心としたメニューで乗り込みを進めており、昨年末には坂路で追い切りも行いました。多少のうるささはあるものの走りに影響するほどではなく、全力を出し切ってくれました。ただ、追い切りでは併せた他馬に遅れをとってしまいました。現状の動きはまだ強調できませんが、本数を重ねながらの変化に期待したいと思います」と話していました。
馬体重440kg 体高152cm(1/16現在)
 2026年1月16日更新
No.32  キュルミナンの24
■ 父 : オメガパフューム
■ 母の父 : シンボリクリスエス
■ 牝  ■ 黒鹿毛  ■ 2/9 生まれ
■ 一口価格 : 3万円
■ 入厩予定 : 美浦・小手川準
■ 馬体重:445kg     ( 2026.1.16 )
■ 馬体高:158.0cm ( 2026.1.16 )
最新の近況 ( 2026.1.16 更新 )
北海道・新冠のコスモヴューファームにて調整中。坂路でダク、キャンターを1本、もしくは屋内トラックコースでダク、キャンターを消化しています。
担当者は「先週からは坂路を中心としたメニューで乗り込みを進めており、昨年末には坂路で追い切りも行いました。集中力がまだ足りない印象で、パワーも付ききっていないため追い切りでは動ききれませんでした。まだ体をうまく使い切れていないのも動けない原因の一つだと感じます。また、体高はあるものの幅はもう少しほしいですし、今後の馬体の成長にも期待したいと思います」と話していました。
馬体重445kg 体高158cm(1/16現在)
 2026年1月16日更新
No.33  スコッチリンクスの24
149
■ 父 : ゴールドシップ
■ 母の父 : キンシャサノキセキ
■ 牝  ■ 芦毛  ■ 4/18 生まれ
■ 一口価格 : 4.25万円
■ 入厩予定 : 美浦・深山雅史
■ 馬体重:486kg     ( 2026.1.16 )
■ 馬体高:156.0cm ( 2026.1.16 )
最新の近況 ( 2026.1.16 更新 )
北海道・新冠のコスモヴューファームにて調整中。坂路でダク、キャンターを1本、もしくは屋内トラックコースでダク、キャンターを消化しています。
担当者は「先週からは坂路を中心としたメニューで乗り込みを進めており、昨日には坂路で追い切りも行いました。まだ緩さがあり、前向きさももうひとつでしたのでどのぐらい動けるか半信半疑でしたが、追い切った組の中では最先着と水準以上の動きを見せてくれました。おとなしい性格で乗りやすく、馬体も絞れて動けるようになってきた印象です」と話していました。
馬体重486kg 体高156cm(1/16現在)
 2026年1月16日更新
No.34  ピュアノアールの24
■ 父 : ダノンスマッシュ
■ 母の父 : ブラックタイド
■ 牝  ■ 鹿毛  ■ 4/29 生まれ
■ 一口価格 : 5万円
■ 入厩予定 : 美浦・和田正一郎
■ 馬体重:445kg     ( 2026.1.16 )
■ 馬体高:157.0cm ( 2026.1.16 )
最新の近況 ( 2026.1.16 更新 )
北海道・新冠のコスモヴューファームにて調整中。坂路でダク、キャンターを1本、もしくは屋内トラックコースでダク、キャンターを消化しています。
担当者は「先月下旬頃、どこかにぶつけたのか右トモに血腫ができましたが、その後は患部を切開し、1週間ほど経ってから騎乗を再開しています。先週からは坂路を中心としたメニューで乗り込みを進めており、昨日には坂路で追い切りも行いました。追い切りでは他馬に遅れをとって動ききれませんでしたし、まだパワー不足の印象です。馬体の成長がスローで筋肉量が物足りず非力な現状ですが、走りそのものは悪くありません。おとなしく性格的な心配もない馬ですし、今後成長が噛み合えば変わってきそうです」と話していました。
馬体重445kg 体高157cm(1/16現在)
 2026年1月16日更新
No.35  ヤマノグラスの24
■ 父 : レイデオロ
■ 母の父 : バブルガムフェロー
■ 牝  ■ 鹿毛  ■ 4/16 生まれ
■ 一口価格 : 3.25万円
■ 入厩予定 : 栗東・宮本博
■ 馬体重:444kg     ( 2026.1.16 )
■ 馬体高:157.0cm ( 2026.1.16 )
最新の近況 ( 2026.1.16 更新 )
北海道・新冠のコスモヴューファームにて調整中。坂路でダク、キャンターを1本、もしくは屋内トラックコースでダク、キャンターを消化しています。
担当者は「この中間は狼歯(ろうし:退化した余分な歯)を抜歯し、先週からは坂路を中心としたメニューで乗り込みを進めています。また、昨年末には坂路で追い切りも行いました。まだ目立つほどの内容ではありませんでしたが、追い切った組の中では最先着と水準級の動きはできていました。まだイレギュラーな出来事に対して敏感で神経質な面はありますが、以前に比べれば乗りやすくなってきており、動かせば前進気勢もあります。このまま徐々に力を付けてほしいと思います」と話していました。
馬体重444kg 体高157cm(1/16現在)
21-33 件表示 / 33 件中
2
募集馬情報
募集馬ラインナップ
募集馬情報一覧
会員様専用マイページ
会員ID
パスワード
会員様専用マイページへ初めてログインされる方はこちら
出資予約
所属馬検索
コスモヴューファーム公式サイト
コスモヴューFチャンネル
資料請求
ホームウインについて会員募集募集馬情報出資予約出走情報所属馬情報MORE ウインお問い合わせよくある質問サイトマッププライバシーポリシー
ウインレーシングクラブでは、
セキュリティー保護のため
暗号化通信を導入しています。
Copyright 2002-2012 Win Racing Club. All Rights Reserved.