ウインレーシングクラブ
ホーム プライバシーポリシー サイトマップ
よくある質問はこちらから お問い合わせはこちらから
ウインについて 会員募集 募集馬情報 出資申込み 出走情報 所属馬情報 MOREウイン
ホーム > 所属馬一覧 ( 所属馬情報 ) > 所属馬詳細
所属馬詳細
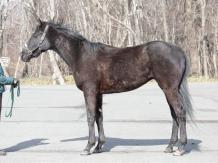
ウイントリスタン カタログ(PDF)を見る
馬コード 年齢 毛色 生年月日 1口価格 厩舎
20240012 2歳 ウインブライト テーブルロンド 青鹿毛 2024/4/27 4万円 (400口) 栗東・宮徹
馬名の意味・由来 : 人名。アーサー王物語に登場する「円卓の騎士」の一人/Win Tristan
戦績  戦績詳細を見る
※ ( ) は地方転籍時の戦績です。
戦績 1着 2着 3着 4着 5着 着外
未出走 0 0 0 0 0 0
アルバム
2026年3月20日
ムービー
所属馬情報
所属馬一覧
戦績
近況
調教タイム
アルバム
会員様専用マイページ
会員ID
パスワード
会員様専用マイページへ初めてログインされる方はこちら
所属馬検索
コスモヴューファーム公式サイト
コスモヴューFチャンネル
ホームウインについて会員募集募集馬情報出資予約出走情報所属馬情報MORE ウインお問い合わせよくある質問サイトマッププライバシーポリシー
ウインレーシングクラブでは、
セキュリティー保護のため
暗号化通信を導入しています。
Copyright 2002-2012 Win Racing Club. All Rights Reserved.